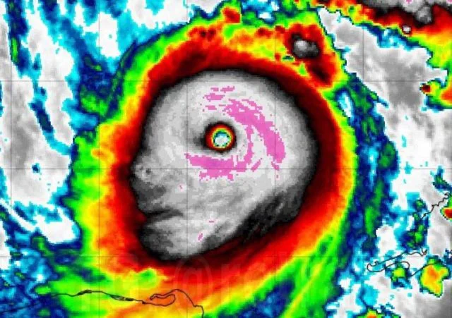
The network discusses the "face" of Hurricane Milton, which resembles the sinister face of a demon (4 photos + video)
Hurricane Milton, which hit Florida, has been repeatedly called one of the most powerful and destructive in many years. And the Internet has already managed to discuss that this natural disaster has... a "face". And it resembles the sinister visage of a demon! Hmm... a frightening coincidence.
![]()

















